Aeropuerto de Hollywood Burbank
El Aeropuerto de Hollywood Burbank antiguamente Aeropuerto Bob Hope[3] (IATA: BUR, OACI: KBUR, FAA LID: BUR) es un aeropuerto público a 4.8 km (3 millas) al noroeste del centro de Burbank, en el Condado de Los Ángeles, California.[1] El aeropuerto sirve el área norte del Área Metropolitana de Los Ángeles, incluyendo Glendale, Pasadena y el Valle de San Fernando. Está más cerca del Parque Griffith y Hollywood que el Aeropuerto Internacional de Los Ángeles (LAX), y es el único aeropuerto en el área con conexión ferroviaria directa al centro de Los Ángeles. Los vuelos sin escalas en su mayoría sirven a ciudades en el oeste de Estados Unidos, mientras que JetBlue Airways tiene un vuelo nocturno a la ciudad de Nueva York.
Aeropuerto de Hollywood Burbank | |||||
---|---|---|---|---|---|
Hollywood Burbank Airport | |||||
| |||||
![]() | |||||
Localización | |||||
Coordenadas | 34°12′02″N 118°21′31″O | ||||
Ubicación | Burbank, California | ||||
País | Estados Unidos | ||||
Elevación | 237.1 m / 778 pies (msnm) | ||||
Sirve a | Norte del Área Metropolitana de Los Ángeles, Burbank, Glendale, Pasadena, Hollywood, Studio City, Universal City y el Valle de San Fernando | ||||
Detalles del aeropuerto | |||||
Tipo | Público | ||||
Operador | Burbank-Glendale-Pasadena Airport Authority | ||||
Estadísticas (2021) | |||||
Operaciones aéreas | 125,429 | ||||
Volumen de pasajeros | 3,732,971 | ||||
Pistas | |||||
Mapa | |||||
![]() ![]() BUR BUR (California) | |||||
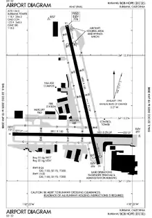
Originalmente, el aeropuerto estaba ubicado completamente dentro de los límites de la ciudad de Burbank, pero el extremo norte de la Pista 15/33 se ha extendido desde entonces a la ciudad de Los Ángeles.
El aeropuerto es propiedad de la Autoridad del Aeropuerto de Burbank-Glendale-Pasadena y está controlado por los gobiernos de esas ciudades. La Autoridad del Aeropuerto contrata a TBI Airport Management, Inc. para operar el aeropuerto, que tiene su propio departamento de policía, la Policía de la Autoridad del Aeropuerto de Burbank-Glendale-Pasadena. El abordaje utiliza escalones de embarque portátiles o rampas en lugar de pasarelas de acceso a aeronaves.
Los registros de la Administración Federal de Aviación dicen que el aeropuerto tuvo 2,647,287 abordajes de pasajeros (embarque) en el Año natural 2008,[4] 2,294,991 en 2009 y 2,239,804 en 2010.[5] Está incluido en el Plan Nacional de Sistemas Aeroportuarios Integrados de la Administración Federal de Aviación (FAA) para 2017-2021, en el que se clasifica como una instalación de centro de conexiones mediano de servicio comercial primario.[6]
Instalaciones

El Aeropuerto Hollywood Burbank cubre 248 ha (614 acres) en una elevación de 237 m (778 pies) sobre el nivel del mar. Tiene dos pistas de asfalto: 15/33 de 2,099 x 46 m (6,886 x 150 pies) y 8/26 de 1,768 x 46 m (5,802 x 150 pies).[1] Los aviones de pasajeros generalmente despegan en la pista 15 debido al viento del sur, y aterrizan contra el viento en la pista 8, ya que es la única pista con ILS y terreno despejado para la aproximación. Los vuelos desde el noreste a veces aterrizan visualmente en la Pista 15 para guardar distancia adicional para circular hacia la Pista 8. Cuando el viento viene del norte, los aviones a menudo se aproximan desde la izquierda a la Pista 33, con un giro a la izquierda cerca del aeropuerto.
En el año que terminó el 31 de octubre de 2016, el aeropuerto tuvo 131,465 operaciones, un promedio de 360 por día: 51% de aviación general, 33% de comerciales programados, 15% de taxis aéreos y <1% de militares. En noviembre de 2017, se instalaron 106 aviones en este aeropuerto: 50 aviones jet, 32 monomotores, 14 multimotores y 10 helicópteros.[1]
Terminales
El aeropuerto de Hollywood Burbank tiene dos terminales, "A" y "B", unidas como parte del mismo edificio. La Terminal A tiene nueve puertas numeradas de A1 a A9 y la Terminal B tiene cinco puertas numeradas de B1 a B5.
Aerolíneas y destinos
Pasajeros
Aerolíneas | Destinos
|
---|---|
Advanced Air | Estacional: Mammoth Lakes |
Alaska Airlines | Boise, Portland (OR), Santa Rosa, Seattle/Tacoma |
American Airlines | Dallas/Fort Worth, Phoenix–Sky Harbor |
American Eagle | Phoenix–Sky Harbor |
Avelo Airlines | Boise, Eugene, Eureka, Medford, Redding, Redmond/Bend, Santa Rosa, Tri-Cities (WA) |
Delta Connection | Salt Lake City |
Flair Airlines | Vancouver (finaliza el 30 de octubre de 2022)[7] |
Frontier Airlines | Las Vegas Estacional: Phoenix–Sky Harbor |
JetBlue Airways | Nueva York–JFK |
JSX | Concord (CA), Denver–Rocky Mountain, Las Vegas, Monterey, Oakland, Phoenix–Sky Harbor, Reno/Tahoe |
Southwest Airlines | Albuquerque, Austin, Chicago–Midway, Dallas–Love, Denver, Houston–Hobby, Las Vegas, Nashville, Oakland, Phoenix–Sky Harbor, Reno/Tahoe, Sacramento, Salt Lake City, San Francisco, San José (CA) |
Spirit Airlines | Las Vegas |
United Airlines | Denver, San Francisco |
United Express | San Francisco |
Carga
Aerolíneas | Destinos
|
---|---|
AirNet Express | Columbus–Rickenbacker |
Ameriflight | Bakersfield, Oakland, Ontario, Santa Bárbara, San Luis Obispo, Santa María Estacional: Oxnard |
FedEx Express | Fort Worth, Indianápolis, Memphis |
UPS Airlines | Chicago/Rockford, Des Moines, Louisville |
Destinos Nacionales
Se brinda servicio a 31 ciudades dentro del país a cargo de 12 aerolíneas.
Destinos | Southwest Airlines | Avelo Airlines | JSX | Alaska Airlines | Frontier Airlines | United Airlines | Otra | # | |
---|---|---|---|---|---|---|---|---|---|
Albuquerque (ABQ) | • | 1 | |||||||
Austin (AUS) | • | 1 | |||||||
Boise (BOI) | • | • | 2 | ||||||
Chicago (MDW) | • | 1 | |||||||
Concord (CCR) | • | 1 | |||||||
Dallas (DFW) | American Airlines | 1 | |||||||
Dallas (DAL) | • | 1 | |||||||
Denver (DEN) | • | • | 2 | ||||||
Denver (BJC) | • | 1 | |||||||
Eugene (EUG) | • | 1 | |||||||
Eureka (ACV) | • | 1 | |||||||
Houston (HOU) | • | 1 | |||||||
Las Vegas (LAS) | • | • | • | Spirit Airlines | 4 | ||||
Mammoth Lakes (MMH) | Advanced Air | 1 | |||||||
Medford (MFR) | • | 1 | |||||||
Monterey (MRY) | • | 1 | |||||||
Nashville (BNA) | • | 1 | |||||||
Nueva York (JFK) | JetBlue Airways | 1 | |||||||
Oakland (OAK) | • | • | 2 | ||||||
Phoenix (PHX) | • | • | • | American Airlines | 4 | ||||
Portland (PDX) | • | 1 | |||||||
Redding (RDD) | • | 1 | |||||||
Redmond (RDM) | • | 1 | |||||||
Reno (RNO) | • | • | 2 | ||||||
Sacramento (SMF) | • | 1 | |||||||
Salt Lake City (SLC) | • | Delta Connection | 2 | ||||||
San Francisco (SFO) | • | • | 2 | ||||||
San José (SJC) | • | 1 | |||||||
Santa Rosa (STS) | • | • | 2 | ||||||
Seattle (SEA) | • | 1 | |||||||
Tri-Cities (PSC) | • | 1 | |||||||
Total | 15 | 8 | 7 | 4 | 2 | 2 | 6 | 31 |
Destinos Internacionales
Se ofrece servicio a 1 destino internacional, a cargo de 1 aerolínea.
Ciudades por países | Nombre del aeropuerto | Aerolíneas | ||
---|---|---|---|---|
Norteamérica | ||||
![]() | ||||
Vancouver | Aeropuerto Internacional de Vancouver | ![]() | ||
Total: 1 destino, 1 país, 1 aerolínea |
Estadísticas


Rutas más transitadas
Número | Ciudad | Pasajeros | Aerolínea |
---|---|---|---|
1 | ![]() |
356,000 | JSX, Southwest Airlines |
2 | ![]() |
322,000 | American Eagle, JSX, Southwest Airlines |
3 | ![]() |
246,000 | JSX, Southwest Airlines |
4 | ![]() |
210,000 | Southwest Airlines |
5 | ![]() |
190,000 | Alaska Airlines, Southwest Airlines, JSX |
6 | ![]() |
179,000 | Southwest Airlines, United Airlines, United Express |
7 | ![]() |
155,000 | Alaska Airlines |
8 | ![]() |
145,000 | Southwest Airlines, United Airlines, United Express |
9 | ![]() |
129,000 | Delta Connection, Southwest Airlines |
10 | ![]() |
103,000 | American Airlines |
Tráfico Anual
Ver fuente y consulta Wikidata.
Año | Pasajeros | Año | Pasajeros | Año | Pasajeros |
---|---|---|---|---|---|
2000 | 4,748,742 | 2010 | 4,461,271 | 2020 | 1,995,348 |
2001 | 4,487,335 | 2011 | 4,301,568 | 2021 | 3,732,971 |
2002 | 4,620,683 | 2012 | 4,056,416 | ||
2003 | 4,729,936 | 2013 | 3,844,092 | ||
2004 | 4,916,800 | 2014 | 3,861,179 | ||
2005 | 5,512,619 | 2015 | 3,943,629 | ||
2006 | 5,689,291 | 2016 | 4,142,943 | ||
2007 | 5,921,336 | 2017 | 4,739,466 | ||
2008 | 5,331,404 | 2018 | 5,263,972 | ||
2009 | 4,588,433 | 2019 | 5,983,737 |
Aeropuertos cercanos
Los aeropuertos más cercanos son:[10]
- Aeropuerto de Los Ángeles Century City (17km)
- Aeropuerto Internacional de Los Ángeles (29km)
- Aeropuerto de Long Beach (46km)
- Aeropuerto de Upland Cable (62km)
- Aeropuerto Internacional LA/Ontario (70km)
Véase también
Referencias
- Registro principal de la FAA para el BUR (Forma 5010 PDF). Federal Aviation Administration. efectivo el 9 de noviembre de 2017.
- «Airport Statistics». Burbank-Glendale-Pasadena-Airport Authority. enero de 2022. Consultado el 16 de marzo de 2022.
- Carpio, Anthony (mayo de 2016). «Bye bye, Bob Hope: Airfield rebrands as Hollywood Burbank Airport». Burbank Leader. Los Angeles Times. Consultado el 4 de mayo de 2016.
- «Enplanements for CY 2008» (PDF, 1.0 MB). CY 2008 Passenger Boarding and All-Cargo Data. Federal Aviation Administration. diciembre de 2009.
- «Enplanements for CY 2010» (PDF, 189 KB). CY 2010 Passenger Boarding and All-Cargo Data. Federal Aviation Administration. octubre de 2011.
- «List of NPIAS Airports» (PDF). FAA.gov. Federal Aviation Administration. octubre de 2016. Consultado el 30 de mayo de 2017.
- «Flair Airlines Adds Affordable Non-Stop Sun Service Between Toronto and Cancun, Moves Los Angeles Service to LAX». Flair Airlines (AccessWire). agosto de 2022. Consultado el 3 de agosto de 2022.
- RITA | BTS | Transtats. Transtats.bts.gov. Consultado el 30 de agosto de 2022.
- «Hollywood Burbank Airport». Burbank-Glendale-Pasadena-Airport Authority. enero de 2021. Consultado el 27 de febrero de 2021.
- «Aeropuerto de Burbank». Skyscanner.net. Consultado el 27 de agosto de 2019.
Enlaces externos
Portal:California. Contenido relacionado con California.
- Página oficial de BUR (en inglés)
- Sitio Oficial del Departamento de Transportación de los Estados Unidos (en inglés)
- Administración Federal de Aviación (en inglés)
- del aeropuerto de la FAA (PDF), en efecto el 11 de agosto de 2022
- Procedimientos de la terminal por la FAA para BUR, en efecto el 28 de agosto de 2008
- Información aeroportuaria de Aeropuerto de Hollywood Burbank en World Aero Data (en inglés)
- Meteorología actual para el Aeropuerto de Hollywood Burbank en la NOAA/NWS (en inglés)
- Información meteorológica y de navegación aérea sobre Aeropuerto de Hollywood Burbank en FallingRain.com
- Información del Aeropuerto de Hollywood Burbank en AirNav (en inglés)
- Información del Aeropuerto de Hollywood Burbank en Great Circle Mapper. (en inglés)
- Historial de accidentes del Aeropuerto de Hollywood Burbank en Aviation Safety Network (en inglés)
- Fuentes para este aeropuerto:
- AirNav - información del aeropuerto para KBUR
- ASN - historial de accidente para BUR
- FlightAware información del aeropuerto y rastreo de vuelos en vivo
- NOAA/NWS - últimas observaciones climatólogicas
- SkyVector - cuadro aeronáutico para KBUR
- FAA - información actual de retraso para BUR