Huracán Bud (2006)
El huracán Bud fue el primer huracán y segunda ciclón tropical nombrada de la temporada de huracanes en el Pacífico de 2006. Se formó como una depresión tropical el 10 de julio, al sur del la península de Baja California. Poco después, se convirtió en una tormenta tropical, y poco después la tormenta comenzó a desarrollar un ojo. Comenzó a intensificarse rápidamente y se convirtió en un huracán el 11 de julio. Bud alcanzó su intensidad máxima el 13 de julio, convirtiéndose en un huracán categoría 3 en la escala de huracanes de Saffir-Simpson. Después de alcanzar por las mares más frías y un ambiente desfavorable, el huracán se debilitó rápidamente y cayó al estado de depresión tropical el 15 de julio. El sistema continuó perdiendo su convección y finalmente degeneró al día siguiente. Como la tormenta permaneció lejos de la tierra, no se informaron efectos como un ciclón tropical, aunque su remanente trajo precipitaciones a Hawái.
Huracán Bud | ||
---|---|---|
Huracán categoría 3 (EHSS) | ||
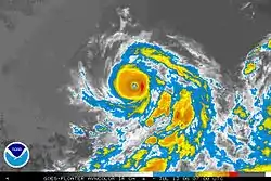
![]() El huracán Bud como un huracán de categoría 2 el 12 de julio de 2006 | ||
Duración |
11 de julio de 2006- 16 de julio de 2006 | |
Vientos máximos |
205 km/h (125 mph) (durante 1 minuto) | |
Presión mínima | 953 mbar (hPa; 28.14 inHg) | |
Daños totales | Ninguno | |
Fallecimientos | Ninguno reportado | |
Áreas afectadas | Hawái | |
Forma parte de la temporada de huracanes en el Pacífico de 2006 | ||
Historia meteorologíca

El 27 de junio, una onda tropical surgió de la costa oeste de África. Procedió hacia el oeste a través del Océano Atlántico y emergió en el Océano Pacífico del este antes del 7 de julio. La onda generó una área de la baja presión, cerca de 630 millas (1,010 kilómetros) al sur de Manzanillo, México. El interés por el sistema creció a lo largo del día siguiente, y la convección gradualmente se organizó de manera favorable. A principios del 11 de julio, el bajo fue designado como una depresión tropical. La tormenta siguió hacia el oeste-noroeste durante toda su duración, bajo las corrientes de dirección de una cresta subtropical de nivel medio que se extendía hacia el oeste desde el norte de México.[1]
Inicialmente, un pequeño sistema de baja presión de nivel superior al norte de la depresión generó con la cizalladura del viento en el norte y aire seco, lo que inhibió el desarrollo de la actividad de las tormentas. Sin embargo, después de que la depresión tropical fue designada con el bajo debilitambiento y la cizalladura del viento cedió.[2] Ubicada sobre temperaturas cálidas del superficie del mar, la tormenta alcanzó el estatus de tormenta tropical a las 06:00 UTC del 11 de julio, y como tal fue nombrada Bud por el Centro Nacional de Huracanes. Posteriormente, la tormenta se intensificó rápidamente. Con condiciones más favorables, la tormenta presentó una zona de bandas nubosas bastante organizado, y el centro de circulación previamente expuesto estaba rodeado de convección.[3] En la medianoche del 12 de julio, la tormenta desarrolló un ojo y se convirtió en un huracán. La convección que rodeaba el centro se profundizó y una ráfaga de actividad de tormenta en el sureste y oscureció el ojo en las imágenes de satélite. El flujo de salida estaba establecido en todos los cuadrantes, aunque estaba ligeramente conveccionado al este, que se creía que era resultado de la interacción con la tormenta tropical Carlotta.[4] Más tarde, el 12 de julio, Bud pasó a ser un huracán de categoría 2 en la escala de huracanes de Saffir-Simpson.

Bud alcanzó el estatus de huracán mayor como huracán categoría 3 el 13 de julio. Presentaba un ojo definido que tenía unos 37 km de diámetro, que estaba envuelto por un anillo completo de tormentas profundas. Un pequeño ciclón, el área de los vientos se contrajo algo alrededor de la misma época.[5] A las 06:00 UTC de ese día, el huracán alcanzó su máxima intensidad, con vientos de 205 km/h (125 mph) y una presión barométrica mínima de 953 mbar (hPa; 28.14 inHg). Posteriormente se encontraron aguas frías y aire estable, comenzó un rápido debilitamiento. Como resultado de la tendencia de debilitamiento, Bud se degradó en un huracán categoría 2 a las 18:00 UTC. El ojo se oscureció y las nubes convectivas comenzaron a calentarse.[6] El 14 de julio, Bud cayó por debajo del estado de huracán y perdió gran parte de su convección durante el día. Además de las temperaturas de la superficie del mar más frías y un entorno desfavorable, la cizalladura en el sudeste contribuyó el debilitamiento. Por la tarde, sólo un parche de actividad de tormenta se demoró al norte del centro.[7] El 15 de julio, la tormenta se degradó a una depresión tropical, y degeneró en un baja remanente al día siguiente. El nivel bajo se disipó completamente en los vientos alisios del este de nivel bajo el 17 de julio, a unos 750 km (1,210 km) al este-noreste de Hawái.
Impactos
Como el huracán Bud no impactó a tierra y permaneció lejos de la tierra. No se reportaron efectos, daños millonarios a la propiedad o fallecimientos totales; no se vieron afectados los buques, y no se emitieron avisos y avisos de ciclones tropicales. Los remanentes de Bud posteriormente trajeron lluvias ligeras a las islas hawaianas el 19 de julio, dos días después de que se disiparan.[8]
Referencias
- Richard D. Knabb (2006). «Tropical Cyclone Report: Hurricane Bud» (PDF). National Hurricane Center. Consultado el 11 de octubre de 2017.
- Stewart (2006). «Tropical Depression Three-E Discussion Number 1». National Hurricane Center. Consultado el 11 de octubre de 2017.
- Kinberlain & Roth (2006). «Tropical Storm Bud Discussion Number 4». National Huirricane Center. Consultado el 11 de octubre de 2017.
- Knabb (2006). «Hurricane Bud Discussion Number 7». National Hurricane Center. Consultado el 11 de octubre de 2017.
- Knabb (2006). «Hurricane Bud Discussion Number 11». National Hurricane Center. Consultado el 11 de octubre de 2017.
- Roberts & Beven (2006). «Hurricane Bud Discussion Number 14». National Hurricane Center. Consultado el 11 de octubre de 2017.
- Roberts & Beven (2006). «Hurricane Bud Discussion Number 18». National Hurricane Center. Consultado el 11 de octubre de 2017.
- Kevin R. Kodama (2006). «July 2006 Hawaii Precipitation Summary». Honolulu National Weather Service. Archivado desde el original el 29 de septiembre de 2006. Consultado el 11 de octubre.
Enlaces externos
Wikimedia Commons alberga una categoría multimedia sobre Huracán Bud.
- Archivo de Huracán Bud del Centro Nacional de Huracanes. (en inglés)